Мы используем куки-файлы. Соглашение об использовании
Аукцион

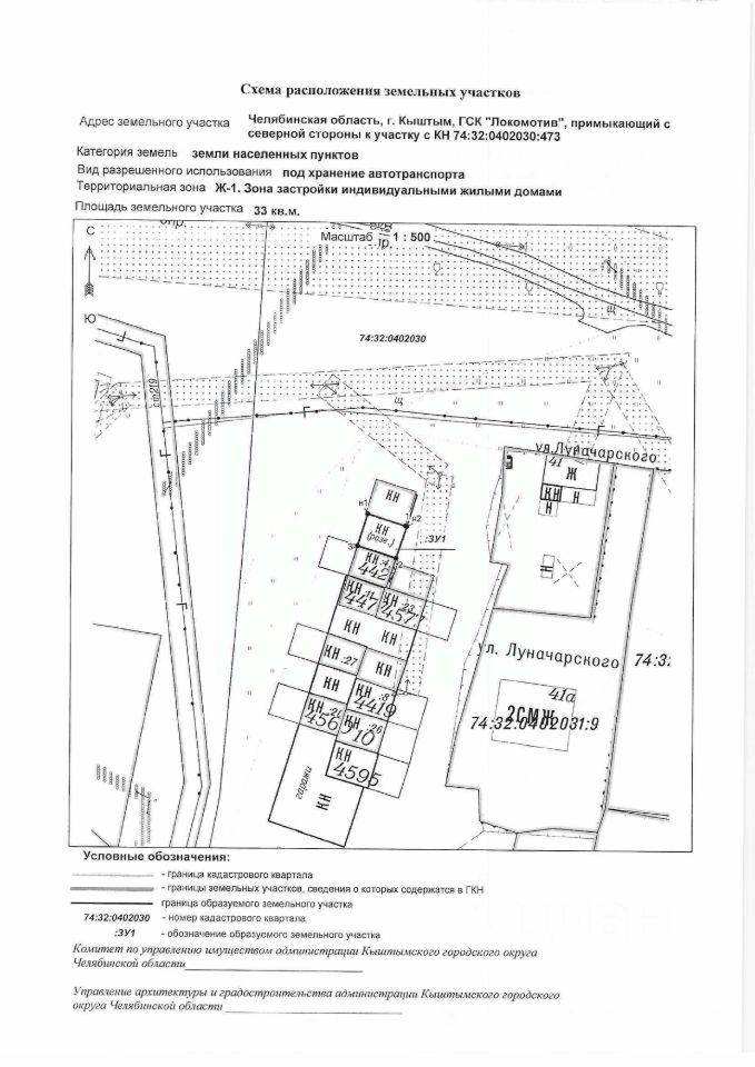
Сдается коммерческая земля, 0,33 сот.

Площадь участка0,33 сот.
КатегорияУчасток поселений
Данные получены с сайта ГИС Торги. под хранение автотранспорта
АукционОбъект реализуется посредством электронных торгов. Конечную информацию об оплате, дополнительных платежах и условия заключения договора смотрите в документах извещения к лоту, на сайте электронной торговой площадки.
lock

Войдите или зарегистрируйтесь
для просмотра информации

Просматривайте условия сделки и всю информацию об объекте
Сохраняйте фильтры в поиске и не вводите заново
Доступ к избранному с любого устройства
Неограниченное добавление в избранное
  • Инфраструктура
  • Похожие рядом
Помощь надёжных риелторов
Риелтор партнёр Циан поможет купить или продать любую недвижимость
Управляющая компанияID 128914650
  • 1 год 1 месяц на Циане
  • 10446 объявлений
  • Начальная цена, аукцион
    1 996 ₽/мес.
    27 $/мес.
    23 /мес.
    Цена за сотку
    72 582 ₽ в год
    Налог
    УСН
    Комиссия
    нет
    Коммунальные платежи
    не включены
    Эксплуатационные расходы
    не включены
    Управляющая компанияID 128914650