Мы используем куки-файлы. Соглашение об использовании
Аукцион

Сдается коммерческая земля, 9,61 сот.

Площадь участка9,61 сот.
КатегорияУчасток поселений
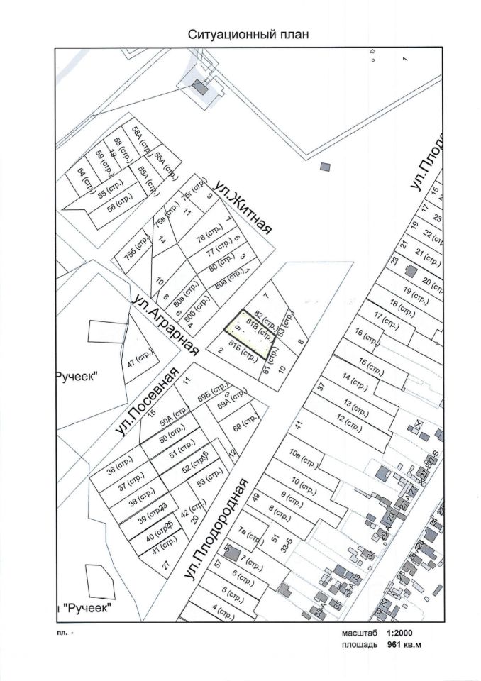
Данные получены с сайта ГИС Торги. Решение о проведении аукциона: распоряжение Администрации города Челябинска от 09.02.2026 1814-л "О проведении аукциона по продаже права на заключение договора аренды земельного участка, расположенного по адресу: Российская Федерация, Челябинская область, городской округ Челябинский, внутригородской район Советский, город Челябинск, улица Посевная, земельный участок 9". Предмет аукциона: право на заключение договора аренды земельного участка площадью 961 кв. м с кадастровым номером 74:36:0428006:739, расположенного по адресу: Российская Федерация, Челябинская область, городской округ Челябинский, внутригородской район Советский, город Челябинск, улица Посевная, земельный участок 9. Вид разрешенного использования: для индивидуального жилищного строительства.
АукционОбъект реализуется посредством электронных торгов. Конечную информацию об оплате, дополнительных платежах и условия заключения договора смотрите в документах извещения к лоту, на сайте электронной торговой площадки.
lock

Войдите или зарегистрируйтесь
для просмотра информации

Просматривайте условия сделки и всю информацию об объекте
Сохраняйте фильтры в поиске и не вводите заново
Доступ к избранному с любого устройства
Неограниченное добавление в избранное
  • Инфраструктура
  • Похожие рядом
Помощь надёжных риелторов
Риелтор партнёр Циан поможет купить или продать любую недвижимость
Управляющая компанияID 128914650
  • 1 год 1 месяц на Циане
  • 10532 объявления
  • Начальная цена, аукцион
    153 760 ₽/мес.
    2 036 $/мес.
    1 742 /мес.
    Цена за сотку
    192 000 ₽ в год
    Налог
    УСН
    Комиссия
    нет
    Коммунальные платежи
    не включены
    Эксплуатационные расходы
    не включены
    Управляющая компанияID 128914650